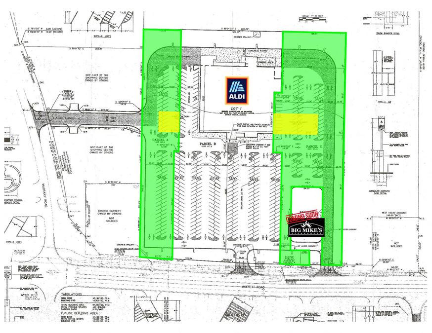
Semmes Marketplace Endcap Parcels

9082 Moffett Rd, Semmes, AL 36575

Property Information

  • For Sale See Lot Details for Prices
  • Property Type VacantLand
  • Property Size 50,189 SF
  • Units 1
  • Lot Size 4.59 Acre
  • Year Built 2000
  • Date Updated Dec 9, 2025

Description

In the heart of Semmes and visible from the main road through Semmes (Highway 98). Huge parking lot with Aldi as anchor for the center.Retail end cap parcels on the east and west side of grocery anchor. Parcel A (Future Retail Shops) pad is 7,200 SF. Parcel C (Future Retail Shops) pad is 7,800 SF. Parcel A and Parcel C are areas within which the owner may construct additional buildings in the future with shared access and cross parking accounted for. Aldi is currently responsible for Parcel A, B, and Cs property tax, insurance, and CAM. If the Aldi Lease Terminates or owners of Parcel A and C construct a building, Parcel A and Parcel C owners are then responsible for their own taxes, insurance, and CAM. Out parcel construction not permitted per Section I,1 and I,2 of the ECC&Rs without written consent from all parties to the Shopping Center. Parcel A: $425,000 Parcel C: $475,000 Protective Covenants and Restrictions: Section III of the ECC&R’s. Information deemed reliable but not guaranteed. Buyer to verify all information.

Contacts

Crawford Stitt

White-Spunner Realty

Location

Located at 9082 Moffett Rd, Semmes, AL 36575, this property is part of the Big Creek neighborhood and Mobile market.

Contact Listing Broker
Crawford Stitt

White-Spunner Realty

This site is protected by reCAPTCHA and the Google Privacy Policy and Terms of Service apply.